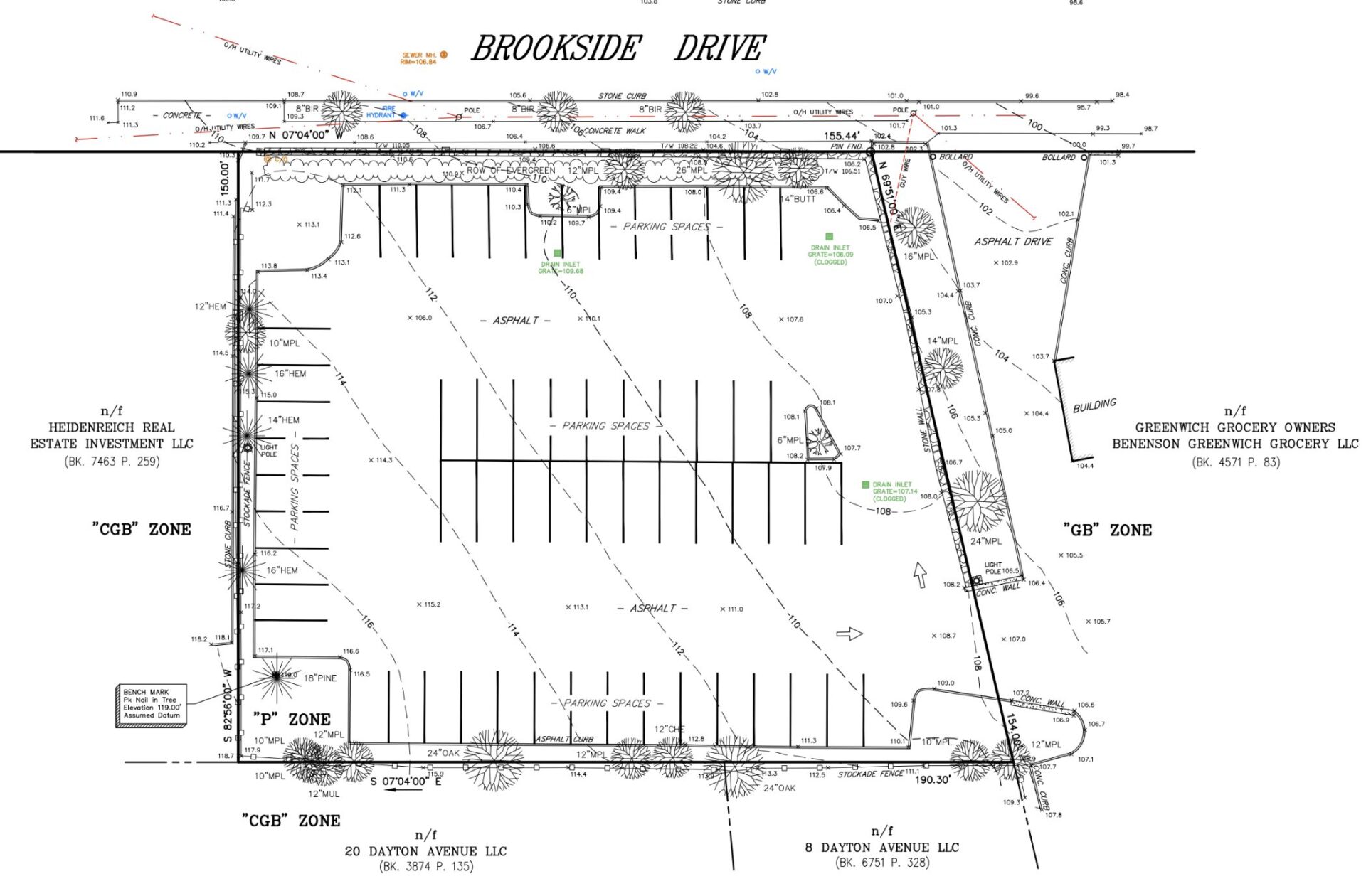
A new proposal submitted to Greenwich Planning & Zoning would result in a four-story apartment building with nine units built at 49 Brookside Drive, which has been an overflow parking lot for Acme (previously A&P) at 160 West Putnam Ave.
According to the Assessor’s office the property is .6003 acres.
According to the pre-application narrative, the lease between the owners of the Acme property and the owner of 49 Brookside Drive expired last year.
The Acme at 160 West Putnam Ave closed last October, though the Acme store on East Putnam Ave continues to operate in Riverside Commons. It was back in 2015 that Acme arrived in Greenwich after A&P filed for Chapter 11 bankruptcy protection.
The overflow parking lot at 49 Brookside is owned by Vale Blossom LLC out of Dallas, Texas.
The proposal is submitted under the town’s 6-110 regulation for workforce housing. One of the nine residential units would be rented at below market rate.
The application also requests a re-zoning of the property from the P-Zone (parking) to CGB (Central Greenwich Business) zone.

Rendering, Ridberg & Associates Architects as part of pre-application to Greenwich P&Z.
As permitted under the incentive provisions of Section 6-110, the building will contain as follows:

Twenty-two parking spaces and one handicap space are proposed, with five surface parking spaces and 17 parking spaces in an underground garage.
An entrance-only driveway along with a two-way drive are proposed via Brookside Drive.
The breakdown of apartments is sevenĀ 3-bedrooms and two 2-bedroom apartments, one of which will be the designated affordable unit.
Common and private roof decks will be provided along with at-grade patios for the first floor units.
Rooftop mechanical space will also be provided for heating and cooling of apartments.
The basement is proposed to provide both mechanical space and storage units, including bike storage the apartments.
The application has yet to be scheduled for a P&Z agenda.



Renderings from Ridberg & Associates Architects as part of pre-application to Greenwich Planning & Zoning.


Back in 2015 temporary signage went up to announce the opening of Acme at 160 West Putnam Ave. Acme permanently closed in October 2025. The apartment building is proposed for the overflow parking lot behind the vacant supermarket.